Universitatea

ARHEOLOGIA DIN TRANSILVANIA
HOME English version
MEMBRII : REVISTA : ŞANTIERE ARHEOLOGICE : CĂRŢI : FORUM : CĂUTARE

 

volum apărut în seria:

BIBLIOTHECA SEPTEMCASTRENSIS

XXIII

Versiune full text Fisier

ISBN (10)973-7724-98-4 ,

ISBN (13) 978-973-7724-98-4

ASPECTE DE MULTICULTURALITATE SPIRITUALĂ *

RIT ŞI RITUAL FUNERAR ÎN TRANSILVANIA ŞI EUROPA CENTRALĂ ŞI DE SUD-EST ( SECOLELE IX-XI )

Autor: Aurel DRAGOTĂ .

Integrare web: Cosmin Suciu, Editura Altip, Alba Iulia, 2006.

Pl.XXXI . Alba Iulia – Str. Brînduşei / 2005 ( după Dragotă-Rustoiu-Deleanu 2006 ).


Pl. XXXII. Alba Iulia – Str. Brînduşei/ 1997-2005. Grafic I-II ( după Dragotă-Rustoiu-Deleanu 2006 ).

  

 

  Pl. XXXIII. Alba Iulia – Str. Brînduşei/ 1997-2005. Grafic III-IV ( după Dragotă-Rustoiu-Deleanu 2006 ).

 

Pl.XXXIV . Alba Iulia – Str. Brînduşei/ 1997-2005. Grafic V-VI ( după Dragotă-Rustoiu-Deleanu 2006 ).

 

 

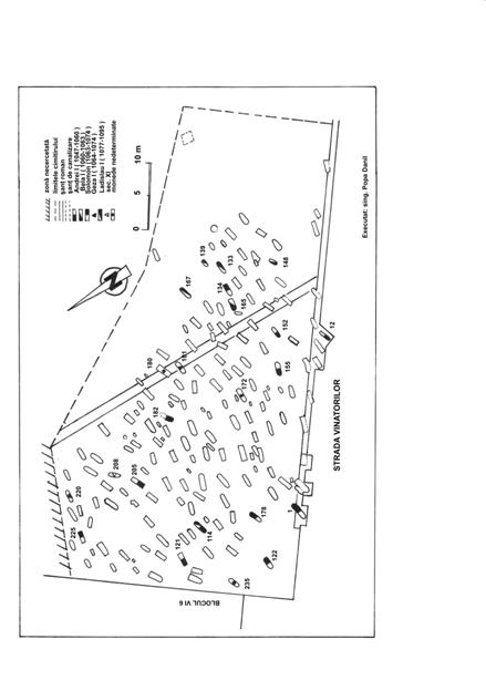
Pl. XXXV. Alba Iulia – Str. Vînătorilor (după Blăjan-Stoicovici-Botezatu 1990-1993).

Pl. XXXVI. 1-10: Pâclişa – „ La Izvoare ” ( după Dragotă2003).

Pl. XXXVII. Pîclişa – „ La Izvoare ” / 2001 ( după Dragotă 2003 ).

Pl. XXXVIII. 1-9: Alba Iulia ( după Novák 1944 ), 10-11: Alba Iulia ( după V. Deleanu ).

Pl. XXXIX. 1: Vukovar-Lijeva bara ( după Vinski 1959 ); 2: Hódmezővásárhely-Nagysziget / M. 37 ( după Révész 1989 ); 3: Mezőmbor-Bálványdombi ( după Megay 1959-1961 ); 4: Reconstituire inel pentru deget cu chaton ( după Demo 1996 ).

Pl. XL. 1-5: Reconstituire tolbă ( după Straub 1999 ); 6: Alba Iulia – „ Staţia de Salvare ” ( după Anghel1999).

Copyright © 2006. If you would like a single copy for personal use, please search at, and then download or order a printed form of the desired book.

Volum apărut cu sprijinul:GUVERNUL ROMÂNIEI Departamentul pentru Relaţii Interetnice

Google
WWW http://arheologie.ulbsibiu.ro/
HOME English version
Simpozioane
Statistici site
Legături
Blogger
Contact
ARHEOLOGIA DIN TRANSILVANIA

 

webmaster: Cosmin Suciu, e-mail to:cos_suciu@yahoo.com